超强台风“森拉克”将正面袭击塞班岛 4月罕见风王来袭
4号台风森拉克在4月这个通常被认为是台风淡季的月份,意外地成为了一个“狠角色”。一般来说,超强台风需要29℃以上的海表温度才能形成,而顶级超强台风则需要30℃左右。然而,森拉克所在海域的海表温度只有28℃,却依然达到了16级超强台风强度,并且持续增强,最终中心附近最大风力远超17级,跻身顶级超强台风行列。

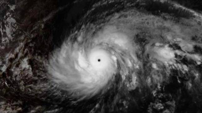
从云图上看,森拉克的核心云团极其规整,台风眼浑圆无比,核心云团的云顶温度低至零下83℃,而台风眼内部的温度高达23℃。这两个数据都是顶级超强台风的典型特征,证明了森拉克的强度已经达到了巅峰水平。它超过了此前的超强台风桦加沙,成为2023年以来西北太平洋出现的最强台风,刷新了春季台风的强度纪录。
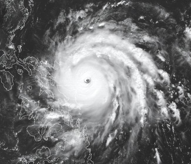
中央气象台最新监测显示,森拉克的中心位于美国关岛东偏南方向约470公里的西北太平洋洋面上,中心最低气压为900百帕,七级风圈半径达450-500公里,十级风圈半径140-150公里,十二级风圈半径80公里,环流范围极其庞大。森拉克的增强速度在4月台风中极为罕见,属于非典型的顶级超强台风,其强度和发展态势超出了预期,后续仍需持续关注其变化。

森拉克之所以能在28℃的海温条件下达到如此强度,主要有两个关键原因。首先,暖水层异常深厚,能量储备充足。虽然海表温度只有28℃,但50米深处的水温同样也是28℃,这片海域就像一个“深层暖水池”,能够持续为台风提供充足的能量。其次,厄尔尼诺现象正在快速发展,这种气候现象直接影响西北太平洋的大气环境,为森拉克提供了绝佳的外部条件,使其能够在相对较低的海温条件下实现强度的快速突破。

森拉克的移动路径也出现了明显变化,原本预计会路过关岛附近,但随着强度不断增强,环流范围持续扩大,它的路径不断北调,目前来看,最大的可能是转向途经塞班岛附近。关岛和塞班岛都是美国的海外领地,其中关岛上设有重要的军事基地,塞班岛也分布着部分军事设施。森拉克途经塞班岛附近时,强度至少会维持在17级超强台风水平,甚至可能达到17级以上,这意味着它有可能超过2018年台风玉兔。更危险的是,森拉克经过塞班岛前后会大幅减速,这相当于塞班岛、关岛会被这场超强台风“长时间笼罩”,狂风暴雨的持续时间会大幅延长,灾害破坏力也会成倍增加。

根据气象部门的分析,塞班岛此次面临的台风威胁极为严峻,可能会出现巨灾。狂风肆虐,威力惊人,塞班岛极有可能出现24小时以上的14级以上大风,最大阵风甚至可能超过70米/秒。这样的风力足以掀翻屋顶、吹倒大树,甚至将轻型车辆吹飞,普通房屋建筑很可能被夷为平地。台风过境时,塞班岛会出现特大暴雨,短时间内的降雨量急剧增加,加上长时间的狂风,岛内很可能出现大面积洪水泛滥。森拉克的高强度还会引发风暴潮,海边区域会被淹没,沿海的房屋、设施都会被海水浸泡、摧毁。

此次台风过境,塞班岛的房屋建筑、植被等都有可能被夷为平地,岛内将陷入洪水泛滥的困境,海边区域也会被风暴潮彻底淹没,破坏力堪比一场毁灭性的灾难。如果实在无法离开,一定要做好全方位的避险准备:提前准备好一个月的生活物资,包括粮食、饮用水、药品等;尽快前往地势较高的牢固建筑物内躲避,远离沿海、低洼地区;提前封好门窗,用胶带固定玻璃,防止被狂风击碎,避免受伤。此次台风过后,塞班岛的基础设施大概率会遭受难以修复的严重破坏。此外,作为大型超强台风,森拉克还具备影响副热带高压的能力,这可能会间接改变后续的天气格局。自然灾害面前,人类渺小但团结有力,愿塞班岛能尽量减少灾害损失,早日恢复正常秩序。


